Photogrammetrie DRONE-LIFT-OFF

Orthofotografie / Topographie / Kartografie mit Drohne

Das Prinzip Photogrammetrie mit Drohne

Bereiche der Erdoberfläche lassen sich 3-dimensional durch Abfotografieren aus verschiedenen Kamera-Aufnahmewinkeln digitalisieren und beschreiben. Nutzen Sie diese Möglichkeit für folgende Anwendungsbeispiele

Luftaufnahmen und die Einsatzmöglichkeiten
- Vermessen aus der Luft (Baugruben, Aufschüttungen)
- Land Vermessung u.a. für Ausgrabungsüberwachung der Archäologie
- Strecken-, Flächen- und Volumenberechnung, Böschungen etc.
- Ersatz des Laser-Scans
- Starßenverläufe, Fluß- und Bachverläufe
- Topologische / Kartographische Aufnahmen
- Bau- und Sanierungs-Dokumentation
- Schaddokumentation
- Erstellung von Luftbildkarten für Orthographie, Katastervermessung, Topographie
- Mapping, CAD

Beispiel-PDF Dokument hier.

Topografische Erfassung für Kartographie

  • Bustelle mit Drohne fotografiert

    Baustellenaufnahme

    - Baustelle Wohnviertel mit Einkaufszentrum
    - 450 Fotoaufnahmen
    - im Bau seit Anfang 2016

  • Photogrammetrisches Ergebnis

    Resultat-3D-Scan

    - Photogrammetrisches Ergebnis
    - Modell 3D

  • Kamerapositionen

    Kamera-Positionen

    - 450 Photo-Aufnahmen
    - Kamera-Ausrichtung

  • Ermittlung Punktewolke | Agisoft Photoscan

    Punktewolke

  • Drahtgitter | Agisoft Photoscan

    Drahtgitter aus Punktewolke

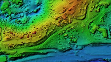
  • Orthophoto / Orthomosaik | Agisoft Photoscan

    Orthophoto-Orthomosaik

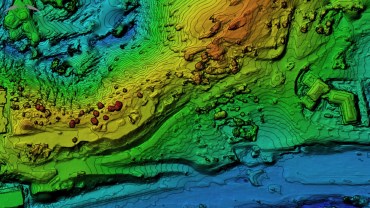
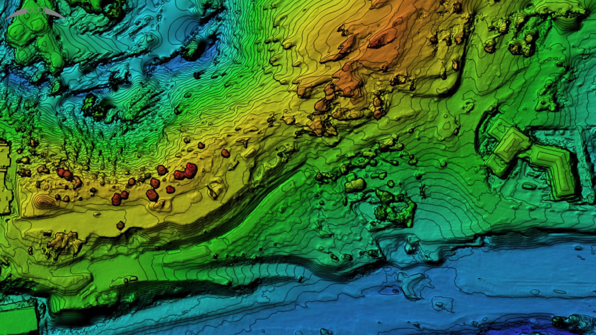
  • Orthophoto mit Höhenlinien | Agisoft

    Höhenlinien

  • DOM | Agisoft

    DEM digitales Oberflächenmodell

  • DOM mit Höhenlinien | Agisoft

    DEM mit Höhenlinien

  • Oberflächen- und Volumenkalkulation mit Drohne

    Die Volumenberechnung durch topologischen 3D-Scan per Photogrammetrie des Terrains (beispielsweise Kiesgruben) ermöglicht einen detailierten Lagerbestand und Lagerbewegung zu berechnen.
    Die Aufnahmen durch die UAV Drohne, die automatisierte Erstellung eines 3-dimensionellen Oberflächenmodells, sowie die Volumen-Berechnung erfolgen in 3-10 h!

    Hier Anklicken für ein Berechnungsbeispiel

  • Luftbild einer Baustelle

    Luftaufnahme

  • Résultat photagrammetrique

    3-dimensionales Ergebnis

  • Topografie

    Topografie

  • Orthophotografie

    Orthophotografie

  • Kalkulation Volumen

    Volumen-Berechnung

  • ungefähres Ergebnis

    annäherndes Ergebnis

  • Ergebnis gemitteltes Niveau

    Ergebnis gemitteltes Niveau

  • numerisches Model

    Numerisches Model der Oberfläche

  • tiefster Punkt | Agisoft

    Berechnung auf tiefstem Punkt

  • Drohnen-basierte Land-Vermessung

    Der Ergänzende Einsatz von Multikoptern zur Vermessung durch Photogrammetrie ist sehr effizient und kostengünstig . Die Verarbeitung der Daten nach Erfassung durch die Kameradrohne erfolgt wenige Stunden danach auf einem Computer mit entsprechnder Software. Durch GPS-genaue (wiederholgenaue) Flüge und der Bilderfassung lassen sich bei entsprechender Flughöhe und Kameraauflösung Genauigkeiten von unter 3 cm / Pixel am Boden erreichen.

    Nach automatischer Ausrichtung der Bildaufnahmen, werden Punktewolken, Gittermodelle, Oberflächentexturen und 3-D Modelle erstellt und können u.a. in GIS-Systeme und CAD-Systeme eingebunden werden. Gerne übernehmen wir auch die Erstellung der entsprechenden Daten.

    Die gewonnen Daten lassen sich in alle gängigen GIS-Systeme einlesen und weiterverarbeiten.